Recevez le smart email du soir. C’est gratuit !
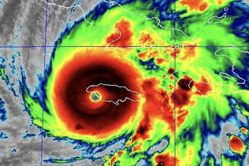
Si vous avez passé la journée à l'abriOuragan Melissa : les vents frôlent les 300km/h soit plus que l'ouragan Katrina qui avait causé plus de 1 800 morts en 2005 aux US (la Croix Rouge estime que 1,5M de Jamaïcains pourraient être touchés) Gaza : après des échanges de tirs entre le Hamas et l'armée israélienne, Netanyahou annonce des frappes immédiates "puissantes" sur la bande de Gaza Emploi : Amazon supprime 14 000 emplois dans le monde (principalement à cause de l'IA), Goldman Sachs prépare une vague de licenciements en raison des gains de productivité liés à l'IA (voir plus bas) |
|
|
Fin de partieHier, le PS disait espérer fédérer une majorité autour de sa taxe Zucman "light", aujourd’hui, il y a bien une majorité … mais contre elle. LFI dénonce une proposition qui "rate sa cible", le RN n’en veut pas du tout "ni en light ni en hard" et, malgré quelques soutiens dans son camp, Lecornu clôt le débat en affirmant devant les députés LR qu’il n’acceptera pour "rien au monde" de "toucher au patrimoine professionnel" et qu’il "ne faut pas que les compromis soient des compromissions".
|
|
|
Intéressante réflexion… de Samuel Fitoussi sur Europe 1 ce matin. Son point : pour justifier le refrain selon lequel l’IA donnera naissance à de nouveaux emplois à mesure qu’elle détruira les anciens, on cite "la révolution industrielle (qui) n’a pas provoqué de chômage de masse". "C’est vrai pour les humains" pointe Fitoussi "mais pas pour les chevaux, dont la population est passée de 26M à moins de 3M aux États-Unis en 50 ans. L’intelligence artificielle pourrait faire des humains…
|
|
|
|
|
|
|
|
La basculeLancé aux US il y a 3 semaines, Sora, le logiciel de génération vidéo d’OpenAI qui permet de créer des vidéos difficilement distinguables de la réalité et sans protection du droit à l’image de personnes que les utilisateurs décident de faire apparaître (imaginez les possibilités de fake news), bat le record de rapidité de diffusion de ChatGPT (plus d’1M de téléchargements en 5 jours) La semaine dernière, l’organisation Palisade Research, qui étudie la contrôlabilité de l’IA, actualise et confirme son expérience menée il y a quelques mois et qui montrait que, confrontés à une menace (être éteint, ou débranché de manière permanente) les modèles d’IA contournent les instructions, mentent voire font chanter leurs "donneurs d’ordre" humains. Cette nuit, Elon Musk lance Grokipedia, une encyclopédie à la Wikipedia mais entièrement générée par l’IA et qu'il promeut donc comme débarrassée de tous les biais associés aux créations humaines : "la vérité, toute la vérité, rien que la vérité" (Musk) Résumons donc : 1) les humains ont perdu le pouvoir de distinguer la fiction du réel, 2) les machines développent une volonté autonome et potentiellement antagoniste avec celles de leurs créateurs, 3) la machine (l’algorithme) devient la seule source de vérité…
|
|
|
|
|
| En collaboration commerciale avec Citroën |
Nouveau C5 AIRCROSS : au plus haut niveauDisponible en hybride, hybride rechargeable ou 100% électrique, offrant jusqu’à 680 km d’autonomie, le Nouveau Citroën C5 AIRCROSS, dessiné et conçu en France, assemblé dans l’usine historique de Citroën à Rennes, est la preuve que l’on peut incarner la qualité du savoir-faire "made in France" et constituer une réponse aux exigences, aux usages -- et à la liberté de choix -- qu’exige la clientèle automobile européenne. Au plus haut niveau. |
|
| Pour les trajets courts, privilégiez la marche ou le vélo #SeDéplacerMoinsPolluer |
|
La Q de la semaineIl va donc falloir s’habituer à vivre dans un monde où la vidéo ne constitue plus la preuve ultime de l’existence d’un événement (cf sujet central). Mais ce "doute méthodique" (souvenez-vous de Descartes) y sommes-nous prêts ? Cas pratique : si on vous montrait aujourd’hui une vidéo de votre partenaire (de lit, pas de canasta) vous trompant, votre premier réflexe serait : 1) de le/la confronter à cette preuve de sa trahison, 2) de questionner la véracité de ce film ? |
|
|
|
|
